Aktualne informacje prosto na Twój adres e-mail
Aktualne informacje prosto na Twój adres e-mail
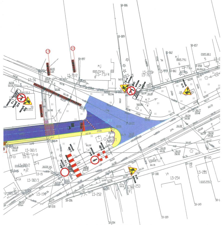
Uwaga kierowcy i piesi! W związku z realizacją zadania pn. "Przebudowa ulicy Stawowej w Drzewicy" dnia 28 października 2019 roku (poniedziałek) zostanie wprowadzona tymczasowa organizacja ruchu na odcinku od skrzyżowania z ulicą Szkolną do skrzyżowania z ulicą S. Staszica.
Droga objęta przebudową będzie zamknięta dla ruchu wszelkich pojazdów w obu kierunkach (znak B-1). Zakaz nie dotyczy mieszkańców posesji położnych przy ww. odcinku ulicy Stawowej oraz pojazdów budowy. Nowe oznakowanie wprowadza także zakaz ruchu pieszych po stronie drogi, po której umieszczony jest znak B-41.
Czasowa organizacja ruchu ma zapewnić bezpieczeństwo użytkownikom drogi oraz zabezpieczenie prac budowlanych. Prosimy o przestrzeganie oznakowania oraz korzystanie z innych dróg – ulicy Szkolnej i ulicy Braci Kobylańskich.
Inwestycja na ulicy Stawowej zakłada modernizację drogi o długości 420 m. Zakres rzeczowy przewiduje przebudowę jezdni, chodników i zjazdów indywidualnych do posesji oraz stanowisk postojowych przy Domu Pomocy Społecznej w Drzewicy.
Na realizację zadania o wartości 557.341,23 zł Gmina Drzewica uzyskała dofinansowanie z Funduszu Dróg Samorządowych w wysokości ok. 460 tys. zł.











